Active

De Soto

Reseda, CA 91335
Mark as Favorite
SqFt7,984

Sqft(Lot)

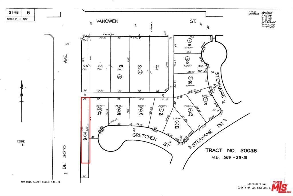
Don’t miss this incredible opportunity to own this lot in a high-visibility, high-traffic area of Reseda! Zoned RS, this 28 ft x 286 ft lot is located at the busy corner of Vanowen St. and Kitridge St. on De Soto Ave, right by McDonald’s, Jack in the Box, and a Chevron gas station. Conveniently accessible via both the 101 and 405 freeways. Buyer to verify all information with the City, including current zoning, building permits, and the possibility of rezoning or future use changes.

Detail Ic Property Details

Property Type : Land

Price : $80,000

AD Id : 65065683

MLS Id : OC25120663

Lot Size : 7,984 Sqft(Lot)

County : Los Angeles

  • Map Map

Map

Map What's Nearby

Map Nearby Areas

Feature Features

  • Lot Details

    Lot Dimensions Source: Vendor Enhanced Lot Size Acres: 0.1833
  • Lot Size Source: Assessor Lot Size Square Feet: 7984

  • Listing Price Information

    Original List Price: 80,000 Listing Contract Date: 2025-05-23
  • Lease Information

    Listing Agreement: Exclusive Right To Sell

  • Tax Information

    Parcel Number: 2148006015

  • Other Property Info

    Source Listing Status: Active Source Neighborhood: 699 - Not Defined Directions: BETWEEN VANOWEN ST. AND KITRIDGE ST. ON DE SOTO ST. IN CITY OF RESEDA CALIFORNIA 91335 BY CORNER OF MC DONALD RESTAURANT AND JACK IN THE BOX AND CHEVRON GAS STATION YOU CAN USE 101 AND 405 TO GET THERE. Zoning: LARS Source Property Type: Land Area: 699 - Not Defined
Sell a home like this and save $4,301 Find out How

How much is this property worth?

Curious about this home's true market value? Use our free Home Evaluation Tool to instantly get a personalized Comparative Market Analysis (CMA) report. Make smarter, data-driven decisions before you buy.

Images
Loading, please wait...

Nearby Home Value

Address Estimate Bed Bath Sq. Ft Lot Size
6834 Baird Avenue, Reseda, CA, 91335 $3,495,000 -- -- -- 16,010 Sqft(Lot)

Copyright © 2026 by the Multiple Listing Service of the California Regional MLS®. This information is believed to be accurate but is not guaranteed. Subject to verification by all parties. This data is copyrighted and may not be transmitted, retransmitted, copied, framed, repurposed, or altered in any way for any other site, individual and/or purpose without the express written permission of the Multiple Listing Service of the California Regional MLS®. Information Deemed Reliable But Not Guaranteed. Any use of search facilities of data on this site, other than by a consumer looking to purchase real estate, is prohibited.

ByOwner last updated this listing 04/07/2026 @ 01:02

MLS: OC25120663 LISTED BY: Nina Parsa, Coldwell Banker Realty 949-644-1600 SOURCE: CRMLS

Selling? Save $4,301 when you sell a home like this

Learn More about this Property