Active

Beards Chapel Road

Springfield, TN 37172
Mark as Favorite
Acres5.02

Acres(Lot)

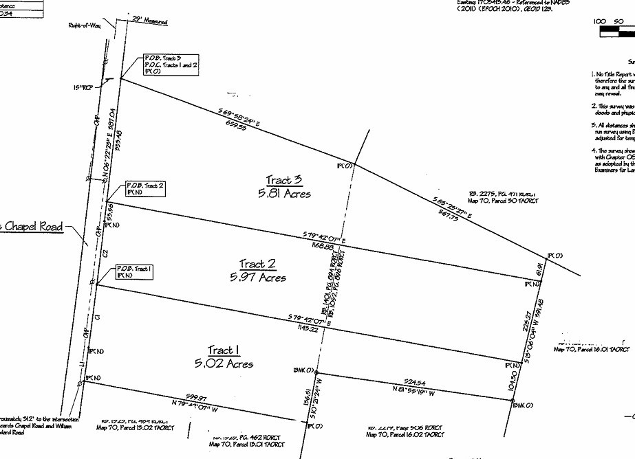
This is lot 1 on the plat in photos! 5 Beautiful, level acres of field and woods ready to build! Rural, quiet living full of potential!

Detail Ic Property Details

Property Type : Land

Price : $215,000

AD Id : 75093963

MLS Id : RTC3122191

Lot Size : 5.02 Acres(Lot)

County : Robertson County

  • Map Map

Map

Map What's Nearby

Map Nearby Areas

Feature Features

  • Water Source

    WaterSource: None

  • Lot Information

    Lot Description: Level, Wooded Lot Size Area: 5.02 Lot Acres: 5.02

    Property Information

    Property Type: Land

  • Listing Price Information

    Original List Price:$230000

  • Tax Information

    Tax Lot: 1 Annual Tax: $1

  • School Information

    Elementary School: Krisle Elementary Junior High School: Springfield Middle Senior High School: Springfield High School
  • Utility Information

    Sewer: None Water Source: None
  • Location Information

    Subdivision: NONE City: Springfield Direction: From Springfield Tn, Take Hwy 49 E , Turn Left to stay on Hwy 49, left onto William Woodard Road, Right onto Beards Chapel Road. Close to William Woodard Rd. Look for COPE for sale sign.
Sell a home like this and save $12,401 Find out How

How much is this property worth?

Curious about this home's true market value? Use our free Home Evaluation Tool to instantly get a personalized Comparative Market Analysis (CMA) report. Make smarter, data-driven decisions before you buy.

Images
Loading, please wait...

Nearby Home Value

Address Estimate Bed Bath Sq. Ft Lot Size
7855 Bethlehem Rd, Springfield, TN, 37172 $599,900 -- -- -- 15 Acres(Lot)
N Pitt Road, Springfield, TN, 37172 $139,900 -- -- -- 5.59 Acres(Lot)
3972 Baggett Rd, Springfield, TN, 37172 $415,000 -- -- -- 11.60 Acres(Lot)
Charles Dorris Road, Springfield, TN, 37172 $95,000 -- -- -- 0.90 Acre(Lot)
Owens Chapel Road, Springfield, TN, 37172 $2,137,200 -- -- -- 82.20 Acres(Lot)
William Woodard Rd, Springfield, TN, 37172 $385,000 -- -- -- 19.16 Acres(Lot)
Hwy 431, Springfield, TN, 37172 $400,000 -- -- -- 29.86 Acres(Lot)
Hwy 431, Springfield, TN, 37172 $325,000 -- -- -- 18.44 Acres(Lot)
Hwy 431, Springfield, TN, 37172 $240,000 -- -- -- 10.86 Acres(Lot)
William Woodard Rd, Springfield, TN, 37172 $400,000 -- -- -- 19.97 Acres(Lot)

Disclaimer: The information being provided courtesy of REALTRAC (RT RealTracs) as distributed by MLS GRID and is for the consumer's personal, non-commercial use and may not be used for any purpose other than to identify prospective properties consumer may be interested in purchasing. Any information relating to real estate for sale referenced on this web site comes from the Internet Data Exchange (IDX) program of theREALTRAC (RT RealTracs). ByOwner.com is not a Multiple Listing Service (MLS), nor does it offer MLS access. ByOwner.com is a broker participant of REALTRAC (RT RealTracs). This web site may reference real estate listing(s) held by a brokerage firm other than the broker and/or agent who owns this web site.

Based on information submitted to the MLS GRID as of 04/06/2026 @ 18:20. All data is obtained from various sources and may not have been verified by the broker or MLS GRID. Supplied Open House Information is subject to change without notice. All information should be independently reviewed and verified for accuracy. Properties may or may not be listed by the office/agent presenting the information.
Properties displayed may be listed or sold by various participants in the MLS.

Consumer use of IDX Listings Disclaimer: Based on information submitted to the MLS GRID as of 04/06/2026 @ 18:20. All data is obtained from various sources and may not have been verified by broker or MLS GRID. Supplied Open House Information is subject to change without notice. All information should be independently reviewed and verified for accuracy. Properties may or may not be listed by the office/agent presenting the information. The data is deemed reliable but is not guaranteed by MLS GRID. The use of the MLS GRID Data may be subject to an end user license agreement prescribed by the Member Participant’s applicable MLS if any and as amended from time to time.


DMCA Notice: The Digital Millennium Copyright Act of 1998, 17 U.S.C. § 512 (the “DMCA”) provides recourse for copyright owners who believe that material appearing on the Internet infringes their rights under U.S. copyright law. If you believe in good faith that any content or material made available in connection with our website or services infringes your copyright, you (or your agent) may send us a notice requesting that the content or material be removed, or access to it blocked. Notices must be sent in writing by email to DMCAnotice@MLSGrid.com.
“The DMCA requires that your notice of alleged copyright infringement include the following information:
(1) description of the copyrighted work that is the subject of claimed infringement;
(2) description of the alleged infringing content and information sufficient to permit us to locate the content;
(3) contact information for you, including your address, telephone number and email address;
(4) a statement by you that you have a good faith belief that the content in the manner complained of is not authorized by the copyright owner, or its agent, or by the operation of any law;
(5) a statement by you, signed under penalty of perjury, that the information in the notification is accurate and that you have the authority to enforce the copyrights that are claimed to be infringed; and
(6) a physical or electronic signature of the copyright owner or a person authorized to act on the copyright owner’s behalf. Failure to include all of the above information may result in the delay of the processing of your complaint.

ByOwner last updated this listing 04/06/2026 @ 18:20

MLS: REALTRAC #3122191 LISTED BY: Ed Cope, Cope Associates Realty & Auction, LLC 615-384-7500 SOURCE: REALTRAC (RT RealTracs)

Selling? Save $12,401 when you sell a home like this

Learn More about this Property