Pending

Avenue D-8

Redman, CA 93535
Mark as Favorite
SqFt111,384

Sqft(Lot)

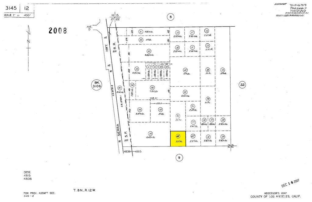
Land of opportunity in the Antelope Valley. This ±2.55-acre vacant parcel near Sierra Highway in Lancaster offers excellent potential for agricultural, rural residential, or other A-2-2 Heavy Agricultural, compatible uses. Located in an area of open land and expanding activity, the property provides easy access to Sierra Hwy and surrounding transportation corridors while maintaining a rural setting. No utilities are currently on site, allowing buyers flexibility in planning future improvements. Ideal for investors, agricultural users, or buyers seeking space and long-term upside in Los Angeles County. Buyer to verify zoning, allowable uses, access, and utility availability with the County. ****No soils reports, surveys, etc., have been done. Buyer and buyer's agent to verify all informatio n with the city or county for allowable uses and requirements and rely on their own investigations. **Buyer responsible for checking zoning, utilities, permits and exact property boundaries. ****

Read More Expand

Detail Ic Property Details

Property Type : Land

Price : $7,000

AD Id : 75097505

MLS Id : SW26028398

Lot Size : 111,384 Sqft(Lot)

County : Los Angeles

  • Map Map

Map

Map What's Nearby

Map Nearby Areas

Feature Features

  • Water/Sewer

    Water Source: See Remarks Sewer: None

  • Fencing

    None

  • Lot Details

    Lot Dimensions Source: Assessor Lot Size Acres: 2.557
  • Lot Size Source: Assessor Lot Size Square Feet: 111384

  • Listing Price Information

    Original List Price: 7,000 Listing Contract Date: 2026-02-06
  • Lease Information

    Listing Agreement: Exclusive Right To Sell

  • Tax Information

    Parcel Number: 3145012068

  • Other Property Info

    Source Listing Status: Pending Source Neighborhood: 699 - Not Defined Directions: Located at coordinates 34.77037,-118.14277 Zoning: A-2-2 Source Property Type: Land Area: 699 - Not Defined
Sell a home like this and save $0 Find out How

How much is this property worth?

Curious about this home's true market value? Use our free Home Evaluation Tool to instantly get a personalized Comparative Market Analysis (CMA) report. Make smarter, data-driven decisions before you buy.

Images
Loading, please wait...

Nearby Home Value

Address Estimate Bed Bath Sq. Ft Lot Size
165 E Avenue F, Redman, CA, 93535 $200,000 -- -- -- 419,544 Sqft(Lot)
Vac/vic Avenue F/165 Ste, Redman, CA, 93535 $12,000 -- -- -- 111,190 Sqft(Lot)
E Avenue D-8, Redman, CA, 93535 $15,000 -- -- -- 111,810 Sqft(Lot)
Vac/vic, Redman, CA, 93535 $20,000 -- -- -- 445,648 Sqft(Lot)
Vac/vic, Redman, CA, 93535 $75,000 -- -- -- 451,971 Sqft(Lot)
Vic Ave D-4 106, Redman, CA, 93535 $60,000 -- -- -- 670,682 Sqft(Lot)
93 Vac/93 Ste/vic Avenu.., Redman, CA, 93535 $20,000 -- -- -- 111,949.20 Sqft(Lot)
53 STREET E Vac/vic E A.., Redman, CA, 93535 $40,000 -- -- -- 55,600 Sqft(Lot)
East Ave E/20th St E, Redman, CA, 93535 $79,999 -- -- -- 886,052 Sqft(Lot)
1600 Avenue E, Redman, CA, 93535 $29,000 -- -- -- 50,273 Sqft(Lot)

Copyright © 2026 by the Multiple Listing Service of the California Regional MLS®. This information is believed to be accurate but is not guaranteed. Subject to verification by all parties. This data is copyrighted and may not be transmitted, retransmitted, copied, framed, repurposed, or altered in any way for any other site, individual and/or purpose without the express written permission of the Multiple Listing Service of the California Regional MLS®. Information Deemed Reliable But Not Guaranteed. Any use of search facilities of data on this site, other than by a consumer looking to purchase real estate, is prohibited.

ByOwner last updated this listing 04/06/2026 @ 22:37

MLS: SW26028398 LISTED BY: Steve Welty, Steve Welty & Associates Inc 760-773-5538 SOURCE: CRMLS

Selling? Save $0 when you sell a home like this

Learn More about this Property