Active

0.77 Jesse Rushing Road

Marshville, NC 28103
Mark as Favorite
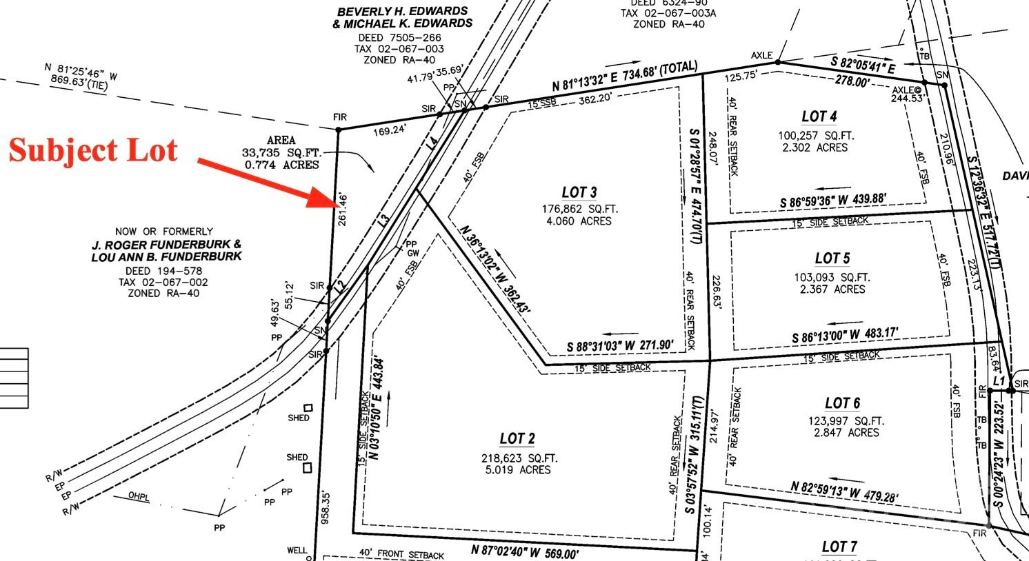
Acres0.77

Acre(Lot)

Hard to find. Manufactured Home Approved. Wooded tract, level and ready to build your dream home. Property to be cut out of parcel #02067008.

Detail Ic Property Details

Property Type : Land

Price : $59,900

AD Id : 65074384

MLS Id : CAR4265908

Lot Size : 0.77 Acre(Lot)

County : Union

Subdivision: Lee Baynard Jr

  • Map Map

Map

Map What's Nearby

Map Nearby Areas

Feature Features

  • Water Source

    WaterSource: Well Needed, None

  • Lot Information

    Lot Size Area: 0.77 acre

    Property Information

    Property Type: Land Sub Type: Lot

  • Listing Price Information

    Original List Price:$64900

  • Tax Information

    Tax Assessed Value: 140700 Parcel Number: 02-067-008

  • School Information

    Elementary School: Unspecified Junior High School: Unspecified Senior High School: Unspecified
  • Utility Information

    Sewer: Septic Needed, None Water Source: Well Needed, None
  • Location Information

    Subdivision: The Woods City: Marshville
Sell a home like this and save $3,095 Find out How

How much is this property worth?

Curious about this home's true market value? Use our free Home Evaluation Tool to instantly get a personalized Comparative Market Analysis (CMA) report. Make smarter, data-driven decisions before you buy.

Images
Loading, please wait...

Nearby Home Value

Address Estimate Bed Bath Sq. Ft Lot Size
0000 Leonard Morgan Road, Marshville, NC, 28103 $365,000 -- -- -- 13.87 Acres(Lot)
3420 Lanesboro Road, Marshville, NC, 28103 $299,900 -- -- -- 7.51 Acres(Lot)
001 Us Hwy 74 Highway, Marshville, NC, 28103 $2,900,000 -- -- -- 7.90 Acres(Lot)
5606 Flint Ridge Church.., Marshville, NC, 28103 $32,000 -- -- -- 1 Acre(Lot)
7718 Pleasant Hill Chur.., Marshville, NC, 28103 $369,000 -- -- -- 14 Acres(Lot)
1212 Marshville Olive B.., Marshville, NC, 28103 $795,000 -- -- -- 21.85 Acres(Lot)
7014 E Marshville Boule.., Marshville, NC, 28103 $550,000 -- -- -- 1.66 Acres(Lot)
Gourdvine Drive, Marshville, NC, 28103 $92,500 -- -- -- 1.42 Acres(Lot)
0000 Philadelphia Churc.., Marshville, NC, 28103 $185,000 -- -- -- 7 Acres(Lot)
5826 Landsford Road #2, Marshville, NC, 28103 $165,000 -- -- -- 6.32 Acres(Lot)

Disclaimer: The information being provided courtesy of CAROLINA (Canopy MLS) as distributed by MLS GRID and is for the consumer's personal, non-commercial use and may not be used for any purpose other than to identify prospective properties consumer may be interested in purchasing. Any information relating to real estate for sale referenced on this web site comes from the Internet Data Exchange (IDX) program of theCAROLINA (Canopy MLS). ByOwner.com is not a Multiple Listing Service (MLS), nor does it offer MLS access. ByOwner.com is a broker participant of CAROLINA (Canopy MLS). This web site may reference real estate listing(s) held by a brokerage firm other than the broker and/or agent who owns this web site.

Based on information submitted to the MLS GRID as of 04/06/2026 @ 06:20. All data is obtained from various sources and may not have been verified by the broker or MLS GRID. Supplied Open House Information is subject to change without notice. All information should be independently reviewed and verified for accuracy. Properties may or may not be listed by the office/agent presenting the information.
Properties displayed may be listed or sold by various participants in the MLS.

Consumer use of IDX Listings Disclaimer: Based on information submitted to the MLS GRID as of 04/06/2026 @ 06:20. All data is obtained from various sources and may not have been verified by broker or MLS GRID. Supplied Open House Information is subject to change without notice. All information should be independently reviewed and verified for accuracy. Properties may or may not be listed by the office/agent presenting the information. The data is deemed reliable but is not guaranteed by MLS GRID. The use of the MLS GRID Data may be subject to an end user license agreement prescribed by the Member Participant’s applicable MLS if any and as amended from time to time.


DMCA Notice: The Digital Millennium Copyright Act of 1998, 17 U.S.C. § 512 (the “DMCA”) provides recourse for copyright owners who believe that material appearing on the Internet infringes their rights under U.S. copyright law. If you believe in good faith that any content or material made available in connection with our website or services infringes your copyright, you (or your agent) may send us a notice requesting that the content or material be removed, or access to it blocked. Notices must be sent in writing by email to DMCAnotice@MLSGrid.com.
“The DMCA requires that your notice of alleged copyright infringement include the following information:
(1) description of the copyrighted work that is the subject of claimed infringement;
(2) description of the alleged infringing content and information sufficient to permit us to locate the content;
(3) contact information for you, including your address, telephone number and email address;
(4) a statement by you that you have a good faith belief that the content in the manner complained of is not authorized by the copyright owner, or its agent, or by the operation of any law;
(5) a statement by you, signed under penalty of perjury, that the information in the notification is accurate and that you have the authority to enforce the copyrights that are claimed to be infringed; and
(6) a physical or electronic signature of the copyright owner or a person authorized to act on the copyright owner’s behalf. Failure to include all of the above information may result in the delay of the processing of your complaint.

ByOwner last updated this listing 04/06/2026 @ 06:20

MLS: CAROLINA #4265908 LISTED BY: Joe Collins, Collins REALTORS 704-641-5898 SOURCE: CAROLINA (Canopy MLS)

Selling? Save $3,095 when you sell a home like this

Learn More about this Property