Active

Buford Highway

Cumming, GA 30041
Mark as Favorite
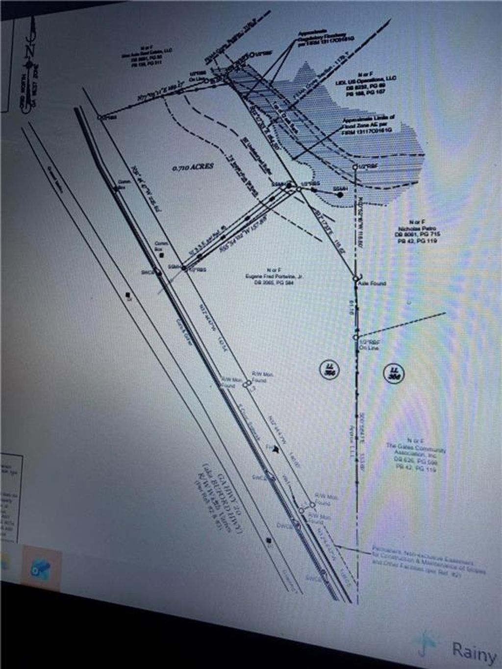
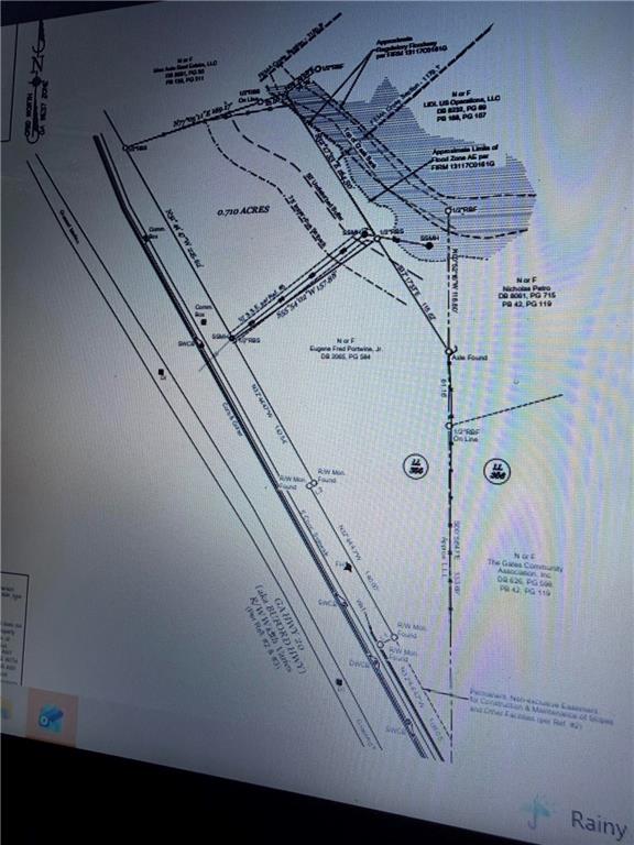
Acres0.71

Acre(Lot)

Great Location 0.71 acre commercial Land/ Site with high traffic and exposure. Approximately 34,100 cars per day (2020). Great location for professional Office uses. Approximately 225 feet road frontage on Highway 20. All utilities including sewer.

Detail Ic Property Details

Property Type : Land

Price : $395,000

AD Id : 75163219

MLS Id : 7702278

Lot Size : 0.71 Acre(Lot)

County : Forsyth

  • Map Map

Map

Feature Features

  • Lot Information

    Lot Size Acres: 0.71 Lot Size Source: Estimated Lot Description: Wooded, Level, Other

    Property Information

    Subdivision: None Source Property Type: Land Zoning Description: Office/Industrial Property SubType: Unimproved Land

  • Listing Price Information

    Listing Price: $395000 Cash

  • Tax Information

    Parcel Number: 174 469 Tax Lot: 0 Tax Year: 2024 Annual Tax: $2611 Tax Legal Desc: 2-1 355

  • School Information

    Elementary School: Mashburn
    Junior High School: Lakeside - Forsyth
    Senior High School: Forsyth Central
  • Utility Information

    Electricity Available, Natural Gas Available, Sewer Available, Water Available, Other
  • Location Information

    Direction: Located approximately 1 mile east of GA 400 at Exit 14. use the mailing address of next vacant land with GPS , 1312 Buford HWY Cumming Ga 30041
Sell a home like this and save $23,201 Find out How

How much is this property worth?

Curious about this home's true market value? Use our free Home Evaluation Tool to instantly get a personalized Comparative Market Analysis (CMA) report. Make smarter, data-driven decisions before you buy.

Images
Loading, please wait...

Nearby Home Value

Address Estimate Bed Bath Sq. Ft Lot Size
Chattahoochee Rd., Cumming, GA, 30041 $395,000 -- -- -- 2.57 Acres(Lot)
Mercedes Drive, Cumming, GA, 30041 $45,000 -- -- -- 0.11 Acre(Lot)
Birchfield Trail, Cumming, GA, 30041 $2,600,000 -- -- -- 25.90 Acres(Lot)
Indian Knoll Road, Cumming, GA, 30041 $650,000 -- -- -- 4.61 Acres(Lot)
Peachtree Parkway, Cumming, GA, 30041 $7,490,000 -- -- -- 13.99 Acres(Lot)
Fleetwood Drive, Cumming, GA, 30041 $50,000 -- -- -- 0.12 Acre(Lot)
Ga-400 Highway, Cumming, GA, 30041 $200,000 -- -- -- 0.57 Acre(Lot)
Imperial Drive, Cumming, GA, 30041 $50,000 -- -- -- 0.27 Acre(Lot)
Shady Grove Road, Cumming, GA, 30041 $875,000 -- -- -- 4.18 Acres(Lot)
7625 Breeze Bay Road, Cumming, GA, 30041 $3,445,000 4 4 -- 0.58 Acre(Lot)

Listings on this website come from the FMLS IDX Compilation and may be held by brokerage firms other than the owner of this website. The listing brokerage is identified in any listing details. Information is deemed reliable but is not guaranteed. If you believe any FMLS listing contains material that infringes your copyrighted work, please (https://www.fmls.com/dmca.htm) to review our DMCA policy and learn how to submit a takedown request. © 2026 FMLS.

ByOwner last updated this listing 04/06/2026 @ 19:07

MLS: 7702278 LISTED BY: NANCY HEMMATI, Chapman Hall Realtors 404-252-9500 SOURCE: First Multiple Listing Service (FMLS)

Selling? Save $23,201 when you sell a home like this

Tour with a ByOwner Agent